a
a
Weather:
No weather information available
Home2025Ottobre (Page 653)

World No. 2 tennis star, Jannik Sinner has finally put an end to months of speculation surrounding his love life.

World No. 2 tennis star, Jannik Sinner has finally put an end to months of speculation surrounding his love life.

Miles Davis member, Jack DeJohnette, died on October 26, 2025, at the age of 83. He is a legendary jazz

Google punta sull’energia nucleare per sostenere la propria espansione nel campo dell’intelligenza artificiale. Il colosso californiano ha annunciato un accordo

Google punta sull’energia nucleare per sostenere la propria espansione nel campo dell’intelligenza artificiale. Il colosso californiano ha annunciato un accordo

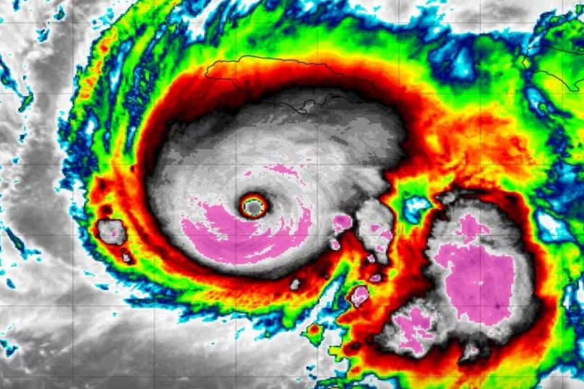
La Giamaica si prepara all’impatto dell’uragano Melissa, una tempesta di 5ª categoria sulla scala Saffir-Simpson, la più alta e distruttiva.

La Giamaica si prepara all’impatto dell’uragano Melissa, una tempesta di 5ª categoria sulla scala Saffir-Simpson, la più alta e distruttiva.

L’uragano Melissa continua a stupire per la sua eccezionale intensità. Durante una missione di ricognizione condotta dagli Hurricane Hunters dell’Aeronautica

L’uragano Melissa continua a stupire per la sua eccezionale intensità. Durante una missione di ricognizione condotta dagli Hurricane Hunters dell’Aeronautica

Immagini mozzafiato, catturate da un aereo Hurricane Hunter, mostrano l’interno dell’occhio dell’uragano Melissa, una tempesta di categoria 5 che sta

Translate »